高压氧延缓人体衰老,打造更好的皮肤状态!

高压氧延缓人体衰老,打造更好的皮肤状态!

来源: 凯信生物 发布时间:2022-11-03 15:45:13 点击数:16523 48

图片

科技赋能,为健康保驾护航

  衰老的特征是逐渐丧失生理完整性,最终身体功能受损,容易患病和死亡。皮肤是人体最大的器官,衰老往往会从皮肤上体现。

  皮肤老化有两种类型:内在和外在老化。内在衰老又叫时序衰老,包括我们身体大多数器官共同的病理生理过程。而外源性衰老是皮肤独有的,与紫外线辐射等外在因素有关。

图片

  在生活中,我们会用各种各样的办法去针对皮肤老化,比如激素替代疗法、饮食、抗炎药物等。然而,大多数并没有足够的科学依据,所以效果并不好。

  国外的研究人员通过选取部分皮肤进行活检、对比高压氧治疗前后的皮肤状态,发现高压氧可让皮肤衰老细胞显著减少、增加弹性纤维长度和胶原纤维密度、增加皮肤内的血管数量。

图片

  参加试验的300多名人员在签署知情同意书、接受相关评估后,进行了几周的观察期,然后进行了为期2个月的高压氧疗。

  在2个月的试验时间里,他们每天稳压吸氧20分钟*3次,加减压各10分钟,每天1次。而且,生活方式和饮食的改变以及药物调整都是不允许的。

图片

  高压氧治疗后,细胞纤维长度显著增加;纤维碎片显著减少。

图片

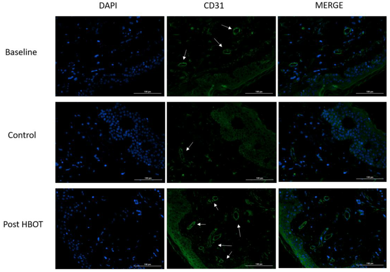
  高压氧治疗后,CD31强度和血管数目都有了明显的增加。

图片

  本研究实证证明了,60次的高压氧疗可增加弹性纤维长度和稳定性,增加体内胶原纤维密度,且效果显著。

  此外,高压氧对血管数量和衰老细胞都有有益的影响。这也证明了,治疗性干预可以在组织水平上减少衰老细胞数量。

图片

  衰老的主要驱动力包括端粒缩短以及其他非端粒DNA损伤。衰老细胞的积累反映了这些细胞生成的减少,这反过来又加剧了损伤并促进了衰老。

  在目前的研究中,与基线和控制期后细胞衰老的稳定水平相比,高压氧诱导的细胞衰老显著减少或清除。

图片

  目前,许多从遗传学或药理学角度针对皮肤老化特征的干预措施正在研究中。

  这些药物包括抗氧化剂、干细胞疗法、维甲酸、激素、饮食、抗炎剂、端粒修饰等。但大多数这些干预措施几乎没有证据支持他们的说法,效果有限。

  高压氧疗是去除衰老细胞的一种非药理学方法。在人类中,治疗干预第一次证明了组织水平上衰老细胞数量的实际减少。

图片

  综上所述,高压氧可以显著调节皮肤的病理生理老化效应,已证实的机制包括血管生成和衰老细胞的清除。

  除此之外,高压氧对人体运动恢复、体质改善、辅助理疗、精神减压都有正向功效,适用人群覆盖全龄段。


南京凯信生物科技有限公司

一家集研发、生产和销售于一体的高科技生产企业,业务涵盖生物化工产品技术研发、制药专用设备制造、医学研究和试验发展、医疗器械生产与销售等

联系我们

电话:198-2502-4520  同微信

座机:025-85618376

地址:南京市江北新区星火路15号智芯科技楼7楼
邮箱:njkxswkj@163.com
首页
产品中心
在线留言
联系我们